Fungus gnats are those small black annoying flies that seem to fly near your face at the most inconvenient times.
They can very quickly infest your favourite plant pots if they are over watered too much and guess what, these little buggers carry pythium on their feet! Thats right they literally have the pathogen for root rot on their mucky little toes.
They feed on decaying organic matter, fungi and your plant roots (especially damaged roots making infection an absolute certainty)
The fungus gnat life span consists of about 3-4 weeks depending on the conditions of the environment.
As mentioned at the beginning of this blog fungus gnats love damp moist (overwatered) mediums as they breed extremely fast in these conditions (up to 300 eggs in an adult’s life) they also benefit from high humidity.

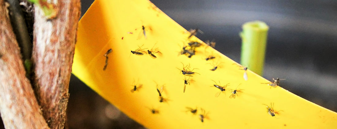
Image Credit: BioBee USA
The Fungus gnat has 4 stages of life:
- Egg
- Larvae
- Pupae
- Adult
The eggs will hatch into larvae after 3-6 days.
The larvae take approx. 4-8 days to develop into pupae.
The pupae take approx. 4-6 Days to form into fungus gnats.
The adults fungus gnat life span is 7 days.
And the cycle just keeps going until someone or something disrupts it.
Once hatched the larvae feed on the fine root hairs of the root and will do significant damage if they are feeding on the root-zone of a seedling/cutting or a freshly potted transplant, but if you have a large healthy established root-zone/plant the larvae will barely effect it. Which feels misleading to say but its true that an established plant has a greater resilience for these things, not to say its impervious and the annoying part here is that you'll still have to eliminate them.
Fungus gnats are pretty easy to control if the infestation isn’t too bad, but if infestation is bad, your fruits/flowers will act as sticky traps.
Ive seen perfect buds covered in these flies before it doesn't look good and now you cant do anything with the material.
The main goal here is to terminate the adults to prevent further eggs being laid so we can do this with a natural pyrethrum solution to spray the adults buzzing around the pot whilst employing the use of yellow sticky traps to catch the ones hiding, once they are on these traps they cannot lay any more eggs so using sticky traps is crucial to this approach working.
Also spray the made up pyrethrum solution on top of the soil or coco, tap the pot a couple of times and you should notice more adults fly out which you can then spray furiously. This step should be repeated every 3-4 days for about 1 month.
The next step is to kill/obliterate the offspring instantly. To do this you will need some hydrogen peroxide (H2O2) add 5ml of H2O2 to 5L of water and drench all of your pots so there is approx. 5-10% run-off. This step should be repeated every 7 days.
Now thats a fair bit of work so if you're after something a little easier a great organic prevention for fungus gnats is to lay a thick layer of Gnat Nix on top of each pot this will prevent any fungus gnats penetrating through to your root-zone, it will also shred the exoskeleton of any larvae attempting to rise up and hatch. A point worth noting here is to ensure that you also line the bottom of your pots with gnat nix to prevent gnats from breeding through your pots drainage holes!
Lastly, for those in plumbed hydroponic systems feeding from hydroponic nutrient tanks, you can do all the above steps too and even add in Tanlin once weekly to your reservoir or tank this will stop any gnats breeding in the nutrient mix and catching a free ride via irrigation tubing direct to your pots!
We hope these tips help. Comment below if this blog has helped you or if you have any other suggestions :)


